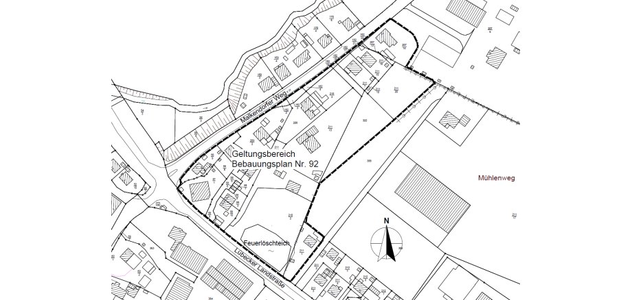
Die Gemeindevertretung der Gemeinde Stockelsdorf hat in ihrer Sitzung am 10.02.2025 beschlossen, für das Gemeindegebiet den Bebauungsplan Nr. 92 für das Gebiet nördlich der Lübecker Landstraße, östlich des Malkendorfer Weges und südwestlich des Golfplatz Curau aufzustellen.
Es werden folgende Planungsziele verfolgt:
a) Städtebauliche Ordnung der Bestandsbebauung entlang der Lübecker Landstraße und des
Malkendorfer Weges
b) Maßvolle Erweiterung der Bebauungsmöglichkeiten auf den Wohngrundstücken im Geltungsbereich
c) Planungsrechtliche Sicherung des Feuerlöschteiches
Von einer Umweltprüfung nach § 2 Abs. 4 Baugesetzbuch (BauGB) wird abgesehen, weil der Bebauungsplan nach § 13 a Abs. 1 S. 2 Nr. 1 BauGB der Innenentwicklung dient.
Dieser Beschluss wird hiermit gem. § 2 Abs. 1 S. 2 BauGB bekannt gemacht.
Stockelsdorf, 25.02.2025
L.S.
Gemeinde Stockelsdorf
Die Bürgermeisterin
Gez.
Julia Samtleben
28.02.2025

