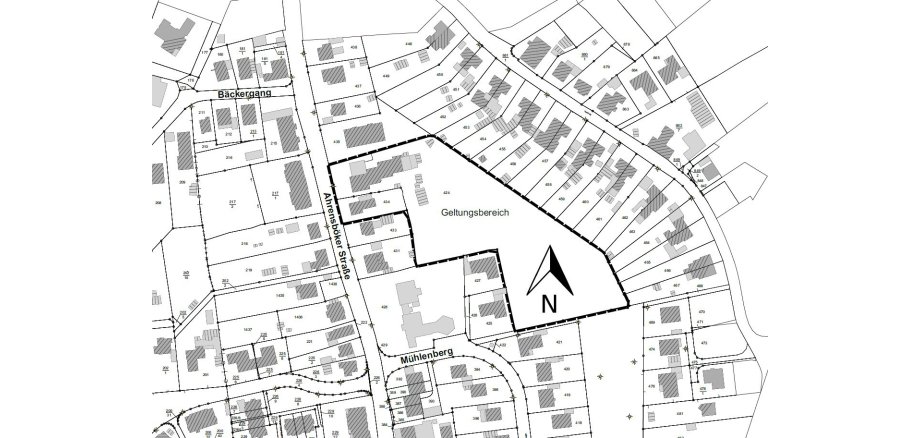
Die Gemeindevertretung der Gemeinde Stockelsdorf hat in ihrer Sitzung am 25.09.2023 beschlossen, für das Gemeindegebiet die 28. Änderung des Flächennutzungsplanes -Neuaufstellung- für das Gebiet östlich der Ahrensböker Straße, süd- und südwestlich der rückwärtigen Bebauung des Hohlwegs und nordöstlich des Mühlenbergs aufzustellen.
Planungsziel ist die Schaffung von planungsrechtlichen Voraussetzungen, um die geordnete städtebauliche Entwicklung eines attraktiven Wohngebiets zu gewährleisten.
Dieser Beschluss wird hiermit gem. § 2 Absatz 1 Satz 2 BauGB bekannt gemacht.
Diese Bekanntmachung ist ergänzend auf der Internetseite der Gemeinde Stockelsdorf unter www.stockelsdorf.de - Rathaus - Bekanntmachungen – Amtliche Bekanntmachungen - Veröffentlichungen der Bauleitplanung einzusehen.
Stockelsdorf, 24.10.2023
L.S.
Gemeinde Stockelsdorf
Die Bürgermeisterin
Gez. Julia Samtleben
17.11.2023

