11. Änderung der Gemeinde Stockelsdorf für das Gebiet westlich / südwestlich der Ahrensböker Straße, nördlich der Segeberger Straße und östlich des Grenzweges nach § 3 Absatz 1 des Baugesetzbuches (BauGB)
Neuaufstellung- der Gemeinde Stockelsdorf für das Gebiet östlich der Ahrensböker Straße, süd- und südwestlich der rückwärtigen Bebauung des Hohlwegs und nordöstlich des Mühlenbergs nach § 3 Absatz 2 des Baugesetzbuches (BauGB)
für das Gebiet östlich der Ahrensböker Straße, süd- und südwestlich der rückwärtigen Bebauung des Hohlwegs und nordöstlich des Mühlenbergs der Gemeinde Stockelsdorf nach § 3 Absatz 2 des Baugesetzbuches (BauGB)
er Gemeinde Stockelsdorf für das Gebiet östlich des Malkendorfer Weges, nördlich des Gutshofes Malkendorfer Weg 16 in der Nähe der Dorfschaft Curau nach § 3 Abs. 2 BauGB
der Gemeinde Stockelsdorf für das Gebiet östlich des Malkendorfer Weges, nördlich des Gutshofes Malkendorfer Weg 16 in der Nähe der Dorfschaft Curau nach § 4a Abs. 3 BauGB i.V.m. § 3 Abs. 2 BauGB
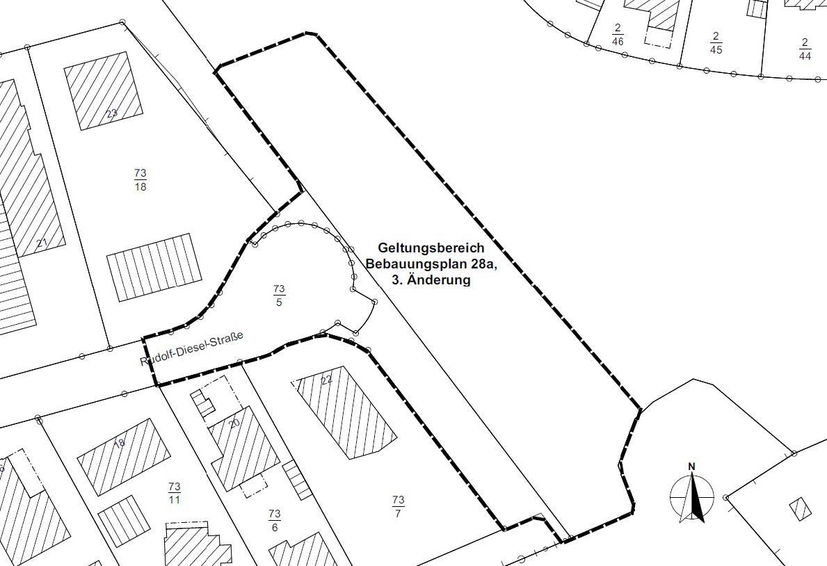
3. Änderung und Erweiterung der Gemeinde Stockelsdorf - für das Gebiet östlich angrenzend an die Rudolf-Diesel-Straße, westlich der Gerhard-Hilgendorf-Straße sowie südlich der Landesstraße L184 - nach § 3 Abs. 2 BauGB
der Gemeinde Stockelsdorf für das Gebiet Ravensbusch, östlich des Schulweges, südlich der Segeberger Straße, einschließlich des Gemeindehauses und des Wanderweges
der Gemeinde Stockelsdorf für das Gebiet östlich angrenzend an die Rudolf-Diesel-Straße, westlich der Gerhard-Hilgendorf-Straße sowie südlich der Landesstraße L184
Neuaufstellung - der Gemeinde Stockelsdorf für das Gebiet westlich / südwestlich der Ahrensböker Straße, nördlich der Segeberger Straße und östlich des Grenzweges
der Gemeinde Stockelsdorf für das Gebiet östlich der Ahrensböker Straße, süd- und südwestlich der rückwärtigen Bebauung des Hohlwegs und nordöstlich des Mühlenbergs
Neuaufstellung -, 10. Änderung der Gemeinde Stockelsdorf für das Gebiet westlich der Ahrensböker Straße, südlich der Marienburgstraße, östlich des Kirchenvorplatzes und nordöstlich der rückwärtigen Bebauung der Segeberger Straße
der Gemeinde Stockelsdorf für das Gebiet östlich der Ahrensböker Straße, süd- und südwestlich der rückwärtigen Bebauung des Hohlwegs und nordöstlich des Mühlenbergs - nach § 3 Abs. 1 BauGB
der Gemeinde Stockelsdorf für das Gebiet in der Ortslage Krumbeck, südlich und nordwestlich der Fichtenstraße (K 37), südöstlich des Reinsbeker Weges und nordöstlich landwirtschaftlich genutzter Flächen
der Gemeinde Stockelsdorf für das Gebiet östlich der Ahrensböker Straße, süd- und südwestlich der rückwärtigen Bebauung des Hohlwegs und nordöstlich des Mühlenbergs
Neuaufstellung - der Gemeinde Stockelsdorf für das Gebiet südwestlich des Bohnrader Weges, südöstlich der L184 (Westtangente), nordöstlich der Siedlung Friedrich-Ritzmann-Straße und nordwestlich der Siedlung Baareneichkoppel
der Gemeinde Stockelsdorf für das Gebiet südwestlich des Bohnrader Weges, südöstlich der L184 (Westtangente), nordöstlich der Siedlung Friedrich-Ritzmann-Straße und nordwestlich der Siedlung Baareneichkoppel
der Gemeinde Stockelsdorf für das Gebiet südwestlich des Parkweges, nordwestlich des Betriebsgeländes der Gemeindewerke, nordöstlich der Straßen "Am Wasserwerk" und "Erlenweg" sowie nordwestlich / südöstlich der Straße Lilienkuhl
der Gemeinde Stockelsdorf - für das Gebiet südwestlich des Bohnrader Weges, südöstlich der L184, nordöstlich des Bebauungsplanes Nr. 56, 1. Erweiterung und nordwestlich des Bebauungsplanes Nr. 36 - nach § 3 Abs. 2 BauGB
ür das Gebiet in der Ortslage Krumbeck, südlich und nordwestlich der Fichtenstraße (K 37), südöstlich des Reinbeker Weges und nordöstlich landwirtschaftlich genutzter Flächen Öffentliche Unterrichtung und Erörterung der allgemeinen Ziele und Zwecke der Planung gem. § 3 Abs. 1 Baugesetzbuch
für das Gebiet südwestlich des Parkweges, nordwestlich des Betriebsgeländes der Gemeindewerke, nordöstlich der Straßen "Am Wasserwerk" und "Erlenweg" sowie nordwestlich / südöstlich der Straße Lilienkuhl -Beteiligung der Öffentlichkeit gemäß § 3 Absatz 2 des Baugesetzbuches
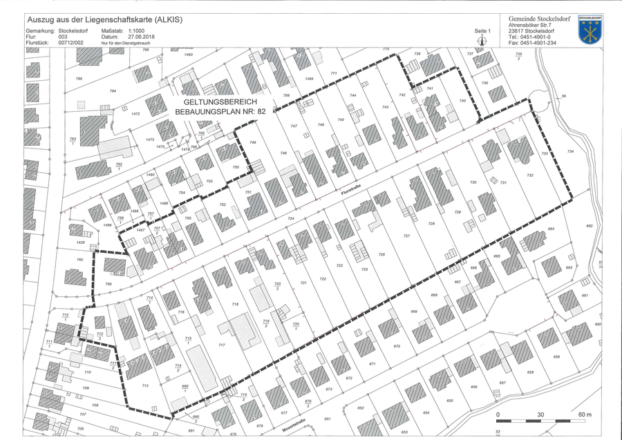
Satzung der Gemeinde Stockelsdorf über die 2. Verlängerung der Veränderungssperre für den sich in der Aufstellung befindenden Bebauungsplan Nr. 82 für das Gebiet nordwestlich und südöstlich der Flurstraße
für das Gebiet westlich der Lohstraße, östlich der Grünanlage Mühlenberg, südlich vom Distelweg und nördlich der Verlängerung zur Beethovenstraße ab Lohstraße 1b - Öffentliche Unterrichtung und Erörterung der allgemeinen Ziele und Zwecke der Planung gem. § 3 Abs. 1 Baugesetzbuch
für das Gebiet nördlich der Dissauer Dorfstraße, östlich der Dissauer Dorfstraße, südlich des Grundstückes Dissauer Dorfstraße 62 sowie des Grundstückes Dissauer Dorfstraße 64 und 64a und westlich landwirtschaftlich genutzter Fläche sowie der Grundstücke Dissauer Dorfstraße 50 und 52
Bauleitplanung der Gemeinde Stockelsdorf a) der 24. Änderung des Flächennutzungsplanes - Neuaufstellung - für das Gebiet südwestlich des Bohnrader Weges, südöstlich der L184, nordöstlich des Bebauungsplanes Nummer 56, 1. Erweiterung und nordwestlich des Bebauungsplanes Nummer 36 und b) des …
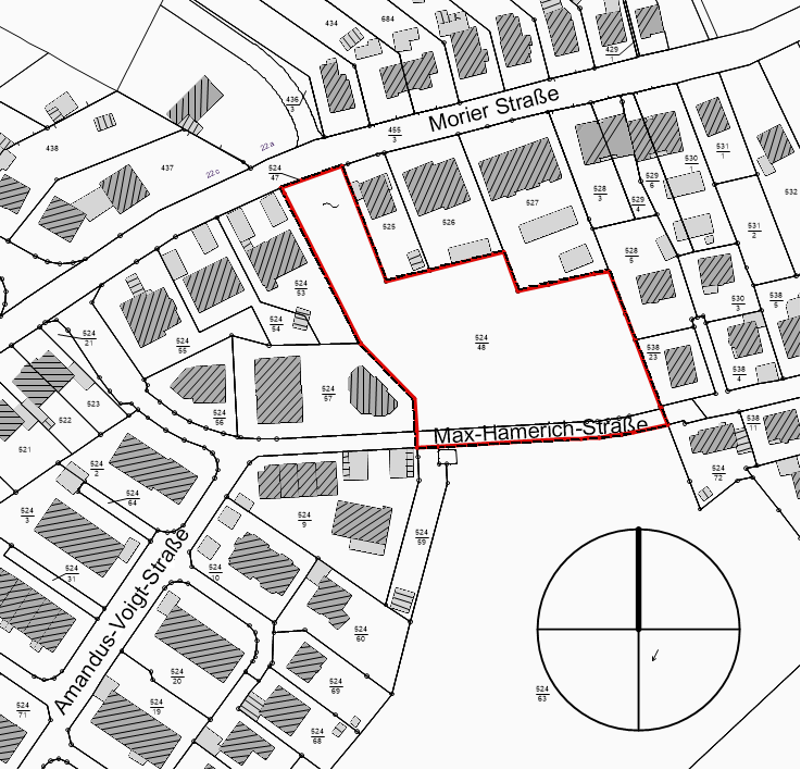
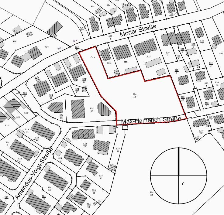
Bekanntmachung über die öffentliche Auslegung des Entwurfes des Bebauungsplanes Nummer 89 für das Gebiet östlich und westlich des Schulweges, südöstlich der rückwärtigen Wohnbebauung der Teichstraße, südwestlich der rückwärtigen Wohnbebauung der Hermannstraße und nordwestlich der Morier Straße sowie …
für das Gebiet südwestlich des Parkweges, nordwestlich des Betriebsgeländes der Gemeindewerke, nordöstlich der Straßen "Am Wasserwerk" und "Erlenweg" sowie nordwestlich / südöstliche der Straße Lilienkuhl
für das Gebiet südwestlich des Parkweges, nordwestlich des Betriebsgeländes der Gemeindewerke, nordöstlich der Straßen „Am Wasserwerk“ und „Erlenweg“ sowie nordwestlich / südöstliche der Straße Lilienkuhl - nach § 4a Abs. 3 BauGB i.V.m. § 3 Abs. 2 BauGB
der Gemeinde Stockelsdorf für das Gebiet in der Ortslage Krumbeck, südlich und nordwestlich der Fichtenstraße (K 37), südöstlich des Reinsbeker Weges und nordöstlich landwirtschaftlich genutzter Flächen nach § 3 Abs. 2 BauGB
"Fläche für Windkraft in der Gemeinde Stockelsdorf" für das Gebiet nördlich der Dorfschaft Malkendorf, östlich des Curauer Moores, südlich der Dorfschaft Sarkwitz (Gemeinde Scharbeutz) sowie nordweslich der Dorfschaft Rohlsdorf (Gemeinde Ratekau)
für das Gebiet südwestlich des Parkweges, nordwestlich des Betriebsgeländes der Gemeindewerke, nordöstlich der Straßen "Am Wasserwerk" und "Erlenweg" sowie norwestlich/südöstlich der Straße Lilienkuhl
für das Gebiet südwestlich des Parkweges, nordwestlich des Betriebsgeländes der Gemeindewerke, nordöstlich der Straßen "Am Wasserwerk" und "Erlenweg" sowie nordwestlich / südöstlich der Straße "Lilienkuhl" - Bekanntgabe des Aufstellungsbeschluss gemäß § 2 Absatz 1 Baugesetzbuch -
Gebiet südwestlich des Parkweges, nordwestlich des Betriebsgeländes der Gemeindewerke, nordöstlich der Straßen "Am Wasserwerk" und "Erlenweg" sowie nordwestlich / südöstlich der Straße "Lilienkuhl"
"Golfplatz Curau" für das Gebiet östlich des Malkendorfer Weges sowie nördlich des Gutshofes Malkendorfer Weg 16 - Beteiligung der Öffentlichkeit gemäß § 3 Absatz 1 Baugesetzbuch -
-Neuaufstellung- »Fläche für Windkraft in der Gemeinde Stockelsdorf« für das Gebiet nordwestlich der Dorfschaft Pohnsdorf, östlich der Dorfschaft Dissau, südlich der Dorfschaft Curau und westlich der L 184 -Bekanntmachung des Aufstellungsbeschlusses-
»Fläche für Windkraft in der Gemeinde Stockelsdorf« für das Gebiet nordwestlich der Dorfschaft Pohnsdorf, östlich der Dorfschaft Dissau, südlich der Dorfschaft Curau und westlich der L 184 -Bekanntmachung des Aufstellungsbeschlusses-
-Neuaufstellung-, 3. Änderung für das Gebiet nordöstlich der Ahrensböker Straße / L332, südöstlich des Hotels, südwestlich des Landgrabens und nordwestlich der Gemeindegrenze Stockelsdorf / Lübeck -Schlussbekanntmachung gem. § 10 Abs. 3 BauGB-
für das Gebiet südwestlich der L332 sowie nordöstlich der rückwärtigen Wohnbebauung der Heinrichstraße -Bekanntmachung des Aufstellungsbeschlusses gemäß § 2 Absatz 1 BauGB-
gemäß § 2 Absatz 1 Baugesetzbuch BauGB) zur Aufstellung des Bebauungsplanes Nummer 82 für das Gebiet nordwestlich und südöstlich der Flurstraße b) Erlass einer Veränderungssperre gemäß § 14 ff. BauGB für den künftigen Bebauungsplan Nummer 82 (Gebietsbezeichnung wie zu a)
"Krumbecker Hof", für das Gebiet nordwestlich der Straße Krumbecker Hof, nordöstlich des Grundstückes Krumbecker Hof 2 sowie südwestlich des ehemaligen Bahndammes
der Gemeinde Stockelsdorf für das Gebiet nordöstlich der Hermannstraße (zwischen den Hausnummern 6 und 16a-g) und südwestlich der rückwärtigen Wohnbebauung der Okonek Straße (Hausnummern 7c, d, e, 11 und 11a) und des Le-Portel-Ringes 18
der Gemeinde Stockelsdorf für das Gebiet südöstlich, südwestlich sowie nordöstlich der Amandus-Voigt-Straße -Schlussbekanntmachung gem. § 10 Abs. 3 Baugesetzbuch-
(zwischen den Hausnummern 6 und 16a-g) und südwestlich der rückwärtigen Wohnbebauung der Okonek Straße (Hausnummern 7c, d, e, 11 und 11a) und des Le-Portel-Ringes 18 Öffentliche Unterrichtung und Erörterung der allgemeinen Ziele und Zwecke der Planung gem. § 3 Abs. 1 Baugesetzbuch
"Ortsmittelpunkt" für das Gebiet nordöstlich der Segeberger Straße, südöstlich der Marienburgstraße, südwestlich der rückwärtigen Bebauung der Ahrensböker Straße
"Ortsmittelpunkt" für das Gebiet nordöstlich der Segeberger Straße, südöstlich der Marienburgstraße, südwestlich des Münzplatzes, Bereich des Lebensmitteleinzelhandels
"Ortsmittelpunkt" für das Gebiet nordöstlich Segeberger Straße, südöstlich Marienburgstraße, südwestlich rückwärtiger Bebauung Ahrensböker Straße sowie nordwestlich Münzplatz
für das Gebiet nördlich der Straßen Eichhörnchenweg und Rehsprung, südöstlich des Rensefelder Weges sowie südwestlich der Gemeindegrenze Stockelsdorf / Bad Schwartau
für das Gebiet östlich der Schillerstraße, nördlich und westlich der Dorfstraße sowie südlich der öffentlichen Grünfläche/Spielplatz Schillerstraße (Flurstücke 1049+1050)
ür das Gebiet nördlich der Lohstraße, östlich der Straßen Am Hang (Bebauungsplan Nummer 50), Theodor-Storm-Straße und Klaus-Groth-Straße sowie südlich der Fritz-Reuter-Straße und westlich der Kolberger Straße auf der Grundlage des § 13 a BauGB
für das Gebiet Dorfplatz / Herrengartenpark« Gebiet südlich der Dorfstr., westlich der Ahrensböker Str, nordwestlich des Bäckerganges und nördlich des ATSV-Sportgeländes
für das Gebiet südlich der Lohstraße, östlich der Stettiner Straße, nördlich der Reihenhausbebauung der Stettiner Straße sowie westlich des Geltungsbereiches des Bebauungsplanes Nummer 2, 3. Änd. "SO-Nahversorgungsmarkt mit Wohnen" nach § 3 Absatz 2 Baugesetzbuch (BauGB)
für das Gebiet südöstlich und nordwestlich des Lilienkuhls sowie nordöstlich des Ahornweges und südwestlich des Parkweges b) Erlass einer Veränderungssperre gemäß § 14 ff BauGB für den künftigen Bebauungsplan Nummer 78 (Gebietsbezeichnung wie zu a)
»Windkraft« für das Gebiet nördlich der Dorfschaft Obernwohlde, westlich der Dorfschaft Dissau und südlich der Dorfschaft Cashagen (Gemeinde Ahrensbök) sowie nordöstlich der Dorfschaft Reinsbek (Gemeinde Pronstorf)
"Ergänzung Gewerbegebiet Daimlerstraße", Gebiet nördlich der L332, westlich und südlich der Westtangente L184 und östlich des bestehenden Gewerbegebietes
für das Gebiet »Bohnrader Weg« nordöstlich des Bohnrader Weges, südöstlich der L 184, südwestlich der Erich-Kästner-Schule sowie nordwestlich der Dorfstraße (Schlussbekanntmachung)
für das Gebiet nördlich der Lohstraße, östlich der Straßen Am Hang (Bebauungsplan Nr. 50), Theodor-Storm-Straße und Klaus-Groth-Straße sowie südlich der Fritz-Reuter-Straße (Schlussbekanntmachung)
der Gemeinde Stockelsdorf, in der Dorfschaft Dissau, für ein Gebiet am südwestlichen Ortsrand, westlich der K 37 (Straße „Am Dorfteich“) bzw. südlich und westlich des bestehenden Feuerwehrgerätehauses (Teil 1) und ein Gebiet am östlichen Ortsrand, zwischen der K 52 (Straße „Dissauer Dorfstraße“) und …