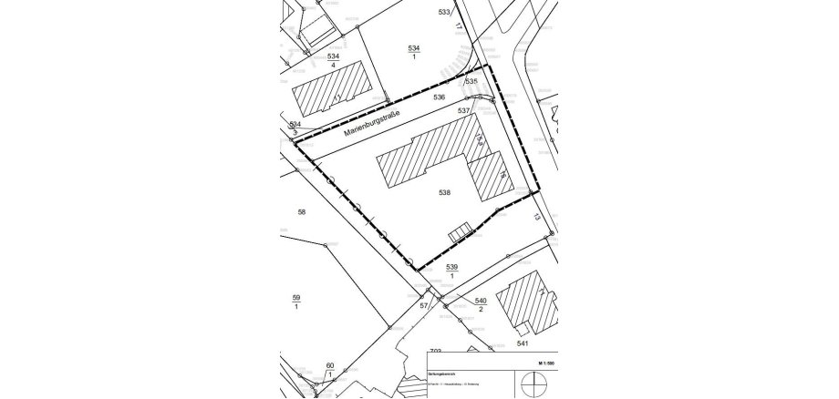
Die Gemeindevertretung der Gemeinde Stockelsdorf hat in ihrer Sitzung am 09.05.2023 beschlossen, für das Gemeindegebiet den Bebauungsplan Nr. 11 - Neuaufstellung -, 10. Änderung für das Gebiet westlich der Ahrensböker Straße, südlich der Marienburgstraße, östlich des Kirchenvorplatzes und nordöstlich der rückwärtigen Bebauung der Segeberger Straße aufzustellen. Mit der Aufstellung des Bebauungsplanes werden folgende Planungsziele verfolgt:
- Nachnutzung einer innerörtlichen Potenzialfläche für Gewerbe und Wohnungsbau,
- städtebauliche Ordnung des Planungsgebietes,
- Schaffung von maßvollen Entwicklungsmöglichkeiten.
Der Bebauungsplan soll im beschleunigten Verfahren als Bebauungsplan der Innenentwicklung nach § 13 a Abs. 1 Satz 2 Nr. 1 Baugesetzbuch (BauGB) ohne Durchführungeiner Umweltprüfung nach § 2 Abs. 4 BauGB aufgestellt werden.
Dieser Beschluss wird hiermit gem. § 2 Abs. 1 BauGB bekannt gemacht.
Stockelsdorf, 10.07.2023
L.S.
Gemeinde Stockelsdorf
Die Bürgermeisterin
Gez.
Julia Samtleben
13.07.2023

