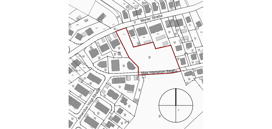
Betr.: Beschluss der 4. Änderung des Bebauungsplanes Nr. 20 der Gemeinde Stockelsdorf für das Gebiet der öffentlichen Grünfläche "nördlich der Max-Hamerich-Straße zwischen Haus Nr. 5a und 7"
Die Gemeindevertretung der Gemeinde Stockelsdorf hat in der Sitzung am 07.11.2022 die 4. Änderung des Bebauungsplanes Nr. 20 der Gemeinde Stockelsdorf für das Gebiet der öffentlichen Grünfläche "nördlich der Max-Hamerich-Straße zwischen Haus Nr. 5a und 7", bestehend aus der Planzeichnung (Teil A) und dem Text (Teil B), als Satzung beschlossen.
Dies wird hiermit bekannt gemacht.
Der vorgenannte Bebauungsplan tritt mit Beginn des 08.12.2022 in Kraft.
Alle Interessierten können den Bebauungsplan und die Begründung dazu von diesem Tage an im Bauamt der Gemeindeverwaltung Stockelsdorf, Ahrensböker Str. 7, 23617 Stockelsdorf, 2. Stock, Zimmer 203, während der Öffnungszeiten für den Publikumsverkehr einsehen und über den Inhalt Auskunft erhalten.
Die der Planung zugrunde liegenden Vorschriften können dort ebenfalls eingesehen werden.
Zusätzlich wurden der Bebauungsplan und die Begründung ins Internet unter www.stockelsdorf.de – Rathaus – Serviceangebote – Bauleitplanung – Bebauungspläne eingestellt und sind über den digitalen Atlas Nord des Landes Schleswig-Holstein zugänglich.
Der Flächennutzungsplan ist gemäß § 13 a Abs. 2 Nr. 2 BauGB durch Berichtigung angepasst worden. Der berichtigte Plan kann wie oben angegeben eingesehen werden, ebenso können Auskünfte über den Inhalt gegeben werden.
Verletzung von Verfahrens- und Formvorschriften, Mängel der Abwägung
Beachtliche Verletzungen der in § 214 Abs. 1 Satz 1 Nr. 1 bis 3 BauGB bezeichneten Verfahrens- und Formvorschriften sowie der in § 214 Abs. 2 BauGB bezeichneten Vorschriften werden unbeachtlich, wenn sie nicht innerhalb eines Jahres seit dieser Bekanntmachung schriftlich gegenüber der Gemeinde geltend gemacht worden sind. Dasselbe gilt für die nach § 214 Abs. 3 Satz 2 BauGB beachtlichen Mängel des Abwägungsvorgangs. Dabei ist der Sachverhalt, der die Verletzung oder den Mangel begründen soll, darzulegen (§ 215 Abs. 1 BauGB).
Fälligkeit und Erlöschen möglicher Entschädigungsansprüche
Auf die Vorschriften des § 44 Abs. 3 Satz 1 und 2 sowie Abs. 4 BauGB über die fristgemäße Geltendmachung etwaiger Entschädigungsansprüche für Eingriffe durch diesen Bebauungsplan in eine bisher zulässige Nutzung und über das Erlöschen von Entschädigungsansprüchen wird hingewiesen.
Verletzung landesrechtlicher Formvorschriften
Unbeachtlich ist zudem eine Verletzung der in § 4 Abs. 3 Gemeindeordnung bezeichneten landesrechtlichen Formvorschriften über die Ausfertigung und Bekanntmachung der Bebauungsplansatzung sowie eine Verletzung von Verfahrens- und Formvorschriften der Gemeindeordnung, wenn sie nicht schriftlich innerhalb eines Jahres seit Bekanntmachung der Satzung gegenüber der Gemeinde Stockelsdorf unter Bezeichnung der verletzten Vorschrift und der Tatsache, die die Verletzung ergibt, geltend gemacht worden ist.
Stockelsdorf, 02.12.2022
Gemeinde Stockelsdorf
Die Bürgermeisterin
L.S.
Gez.
Julia Samtleben
07.12.2022

