Amtliche Bekanntmachung
Sicherung der Bauleitplanung der Gemeinde Stockelsdorf
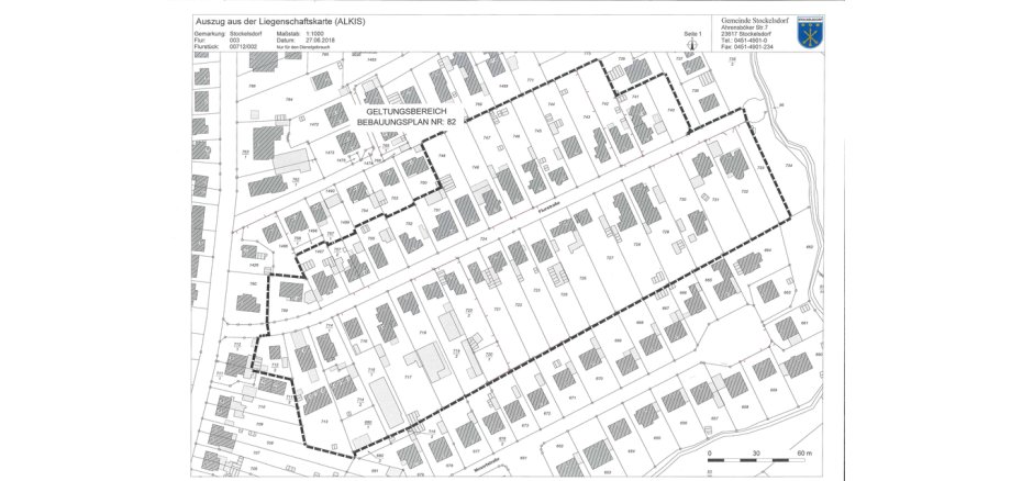
Hier Satzung der Gemeinde Stockelsdorf über die 1. Verlängerung der Veränderungssperre für den sich in der Aufstellung befindenden Bebauungsplan Nummer 82 für das Gebiet nordwestlich und südöstlich der Flurstraße
Aufgrund der §§ 14 fortfolgende des Baugesetzbuches in Verbindung mit § 4 der Gemeindeordnung für Schleswig-Holstein ist von der Gemeindevertretung am 15.06.2020 folgende Satzung über die 1. Verlängerung der Veränderungssperre zur Aufstellung des Bebauungsplanes Nummer 82 beschlossen worden:
§ 1
Die Geltungsdauer der auf Grundlage des Satzungsbeschlusses vom 09.07.2018 erlassenen Veränderungssperre für den sich in der Aufstellung befindenden Bebauungsplan Nummer 82 wird gemäß § 17 Absatz 1 Baugesetzbuch um 1 Jahr verlängert.
§ 2
Diese Satzung tritt am Tage nach der erfolgten Bekanntmachung in Kraft.
Die vorstehende Satzung wird hiermit ausgefertigt
Stockelsdorf, 23.06.2020
L.S.
Gemeinde Stockelsdorf
Gez. Julia Samtleben
Die Bürgermeisterin
Verletzung von Verfahrens- und Formvorschriften
Eine Verletzung der in § 214 (1) bezeichneten Verfahrens- oder Formvorschriften des Baugesetzbuches bei der Aufstellung der oben angegebenen Satzung ist unbeachtlich, wenn sie nicht innerhalb eines Jahres seit dieser Bekanntmachung der Satzung schriftlich gegenüber der Gemeinde Stockelsdorf (Bauamt) geltend gemacht worden ist.
Dasselbe gilt für die nach § 214 Absatz 3 Satz 2 Baugesetzbuch beachtlichen Mängel des Abwägungsvorgangs. Dabei ist der Sachverhalt, der die Verletzung oder den Mangel begründen soll, darzulegen (§ 215 Absatz 1 Baugesetzbuch).
Unbeachtlich ist ferner eine Verletzung der in § 4 Absatz 3 Gemeindeordnung bezeichneten landesrechtlichen Formvorschriften über die Ausfertigung und Bekanntmachung der Satzung sowie eine Verletzung von Verfahrens- und Formvorschriften der Gemeindeordnung, wenn sie nicht schriftlich innerhalb eines Jahres seit Bekanntmachung der Satzung gegenüber der Gemeinde Stockelsdorf unter Bezeichnung der verletzten Vorschrift und der Tatsache, die die Verletzung ergibt, geltend gemacht worden ist (§ 4 Abs. 3 Gemeindeordnung für Schleswig-Holstein).
Geltendmachung etwaiger Entschädigungsansprüche
Auf die Vorschriften des § 18 Absatz 2 Satz 2 und 3 in Verbindung mit § 44 Absatz 4 des Baugesetzbuches über die fristgemäße Geltendmachung etwaiger Entschädigungsansprüche wird hingewiesen.
Die Satzung über die 1. Verlängerung der Veränderungssperre kann in der Gemeindeverwaltung Stockelsdorf, Ahrensböker Straße 7, 2. Stock, Zimmer 204, während folgender Öffnungszeiten sowie nach Vereinbarung (Tel.: 0451/4901300) eingesehen werden und über den Inhalt Auskunft verlangt werden:
montags 08:00 Uhr bis 12:00 Uhr und 13:30 Uhr bis 16:30 Uhr
dienstags und freitags von 08:00 Uhr bis 12:00 Uhr
donnerstags von 08:00 Uhr bis 12:00 Uhr und 13:30 Uhr bis 18:00 Uhr
mittwochs geschlossen
Stockelsdorf 24.06.2020
Gemeinde Stockelsdorf
Die Bürgermeisterin
Gez. Schulz
Bauamt
24.06.202

