Bekanntmachung der Gemeinde Stockelsdorf
Betr.: Öffentliche Auslegung der 4. Änderung des Bebauungsplanes Nr. 20 der Gemeinde Stockelsdorf nach § 3 Abs. 2 BauGB sowie Änderung des Geltungsbereiches
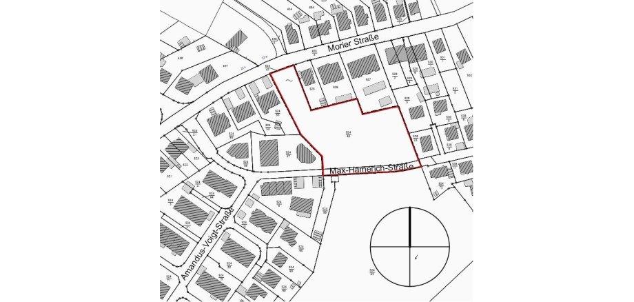
Der Ausschuss für Umwelt, Bauen, Planung und öffentliche Sicherheit hat in der Sitzung am 10.05.2022 die Änderung des Geltungsbereiches mit der bisherigen Gebietsbezeichnung „Gebiet der öffentlichen Grünfläche nördlich der Max-Hamerich-Straße zwischen Haus Nr. 5a und 7 und südlich der Max-Hamerich-Straße zwischen Haus Nr. 4g und 10, nördlich des Roggenhorster Landgrabens (Hasenmoor)" geändert auf den unten dargestellten Geltungsbereich mit folgender neuen Gebietsbezeichnung: „Gebiet der öffentlichen Grünfläche nördlich der Max-Hamerich-Straße zwischen Haus Nr. 5a und 7".
Der vom Ausschuss für Umwelt, Bauen, Planung und öffentliche Sicherheit in der Sitzung am 10.05.2022 gebilligte und zur Auslegung bestimmte Entwurf der 4. Änderung des Bebauungsplanes Nr. 20 der Gemeinde Stockelsdorf für das Gebiet der öffentlichen Grünfläche nördlich der Max-Hamerich-Straße zwischen Haus Nr. 5a und 7 und die Begründung liegen vom
01.06.2022 bis 01.07.2022
in der Gemeindeverwaltung Stockelsdorf, Ahrensböker Straße 7, 23617 Stockelsdorf, Bauamt, 2. Stock, Zimmer 204, während folgender Öffnungszeiten
Montag 8.00 - 12.00 und 13:30 - 16: 30 Uhr
Dienstag und Freitag 8.00 - 12.00 Uhr
Donnerstag 8.00 - 12.00 und 13:30 – 18:00 Uhr
sowie nach Vereinbarung (Tel.: 0451/4901-300; E-Mail: V.Bobsin@stockelsdorf.de) öffentlich aus.
Von einer Umweltprüfung wird abgesehen, weil der Bebauungsplan nach § 13a BauGB der Innenentwicklung dient.
Zudem wird gem. § 13 Absatz 2 Nr. 1 BauGB von der frühzeitigen Unterrichtung und Erörterung nach § 3 Absatz 1 und § 4 Absatz 1 BauGB abgesehen.
Zusätzlich ist der Inhalt dieser Bekanntmachung und die nach § 3 Abs. 2 S. 1 BauGB auszulegenden Unterlagen im Internet unter www.stockelsdorf.de – Rathaus – Aktuelles – Bekanntmachungen – Veröffentlichungen der Bauleitplanung eingestellt und über den digitalen Atlas Nord des Landes Schleswig-Holstein zugänglich.
Während der Auslegungsfrist können alle an der Planung Interessierten die Planunterlagen und umweltbezogenen Stellungnahmen einsehen sowie Stellungnahmen hierzu schriftlich oder während der Dienstzeiten zur Niederschrift abgeben.
Nicht fristgerecht abgegebene Stellungnahmen können bei der Beschlussfassung über die Änderung des Bebauungsplanes unberücksichtigt bleiben, wenn die Gemeinde den Inhalt nicht kannte und nicht hätte kennen müssen und deren Inhalt für die Rechtmäßigkeit des Bebauungsplanes nicht von Bedeutung ist.
Die Verarbeitung personenbezogener Daten erfolgt auf der Grundlage der Artikel 6 Absatz 1 Buchstabe „e“ der Datenschutzgrundverordnung (DSGVO) in Verbindung mit § 3 BauGB und dem Landesdatenschutzgesetz. Sofern Sie Ihre Stellungnahme ohne Absenderangaben abgeben, erhalten Sie keine Mitteilung über das Ergebnis der Prüfung. Weitere Informationen entnehmen Sie bitte dem Formblatt „Informationspflichten bei der Erhebung von Daten im Rahmen der Öffentlichkeitsbeteiligung nach dem BauGB (Art. 13 DSGVO)“, das mit ausliegt.
Stockelsdorf, 12. Mai 2022 Gemeinde Stockelsdorf
Die Bürgermeisterin
L.S. Gez.
Julia Samtleben
24.05.2022

